*Google Search Console* *Google Analytics*
Cart

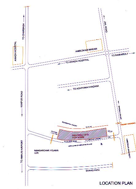
LUCKNOW PHASE II

LUCKNOW PHASE II

LOCATION : Sector O/P in Mansarovar Yojana, Kanpur road scheme close to M/N Sector of Aashiyana.

CONFIGURATION : Independent Expandable Duplex Bungalows.

Sale of Shops : Letter Dated 16 Nov 09 and 03 Jul 09 to All Allottees.

Letter Dated 28 Aug 08 to Allottees of DU Nos 65-87 and 135-145.

STATUS:
  • PROJECT COMPLETE. ALL UNITS HAVE BEEN HANDED OVER.
  • TENTATIVE COST, AREA AND ACCOMMODATION
    Category Tentative Plot Area in Sq Yd Tentative SuperArea of construction in Sq Ft Cost of Dwelling Unit Accommodation
    A-I 200 (1800 Sq Ft) 1460 21 lacs Drawing/Dining, 3 Bedrooms, Kitchen, 2 Toilets, Staircase, Rear front, side open.
    A-II 150 (1350 Sq Ft) 1170 16.5 lacs Drawing/Dining, 2 Bedrooms, Kitchen, 2 Toilets, Staircase, Rear & front open
    B 125 (1125 Sq Ft) 754 12 lacs Living room, 2 Bedrooms, 1 Bath, 1 WC, Stairca, Rear and front open
    Photographs...
    Project Photo